夜间模式
打赏中心
每日签到
幸运转盘
论坛帮助
活动聚焦
手机客户端
道具中心
商家认证
勋章中心
诚信认证
快捷通道
关闭
您还没有登录,快捷通道只有在登录后才能使用。
立即登录
还没有帐号? 赶紧
注册一个
论坛首页
论坛导航
商家
招聘
装修
昆山优选
小红娘
分类信息
二手房
昆山视窗
登录
注册
找回密码
帖子
用户
版块
帖子
搜索
论坛首页
>
论坛导航
>
玉山广场
>
发现蒿菜
发帖
回复
返回列表
新帖
5015
阅读
0
回复
[随便说说]
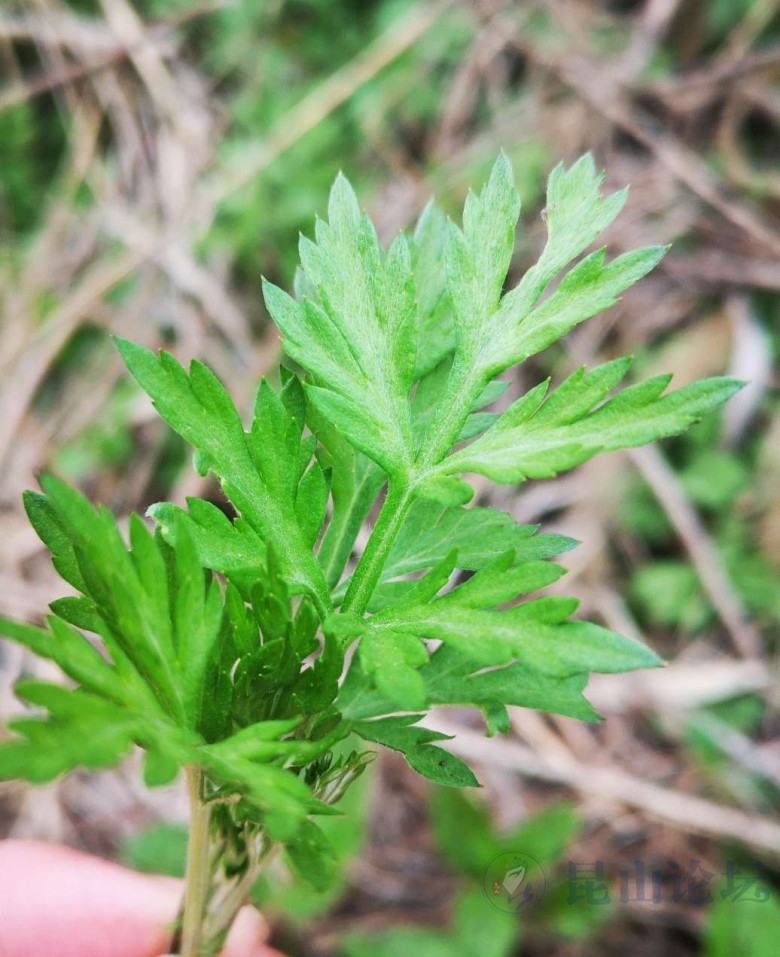
发现蒿菜
[复制链接]
扫描到手机
论坛小编教你如何扫二维码
上一主题
下一主题
离线
听风看雨
UID:124435
注册时间
2009-09-25
最后登录
2025-10-11
发帖
13788
搜Ta的帖子
精华
0
昆币
17093
访问TA的空间
加好友
用道具
级别:
昆山荣誉市民
发帖
13788
昆币
17093 枚
加关注
发消息
只看楼主
使用道具
电梯直达
楼主
发表于: 2024-03-23
,
来自:江苏省
0==
可惜是白蒿
要是苦蒿就弄点回去做社饭
内容来自 Android 手机客户端
本帖评分记录
共
条评分
热点推荐
昆山民用无人机试飞运行基地正式揭牌启用
难以想象!周末的陆杨粮仓人气竟然这么足
是不是说明以后昆山市区的老房子不会大拆大建
最近突然想把房子卖了买黄金,可行吗?
昆山农商银行2026校园招聘丨梦想已启航
融汇路和紫竹路交叉口,每天晚上在红绿灯路口直接停三排车
跟着粉墨宝贝游巴城:邂逅江南水乡的昆曲雅韵
愉快的周末,在家做了好大女想吃的荆州麻辣烫
焕新!昆山这条滨水绿廊藏不住了
昆山论坛分类信息,昆山人的二手交易平台
我很骄傲我的队友,警察叔叔都竖大拇指
荷蟹宴!藏着一整个阳澄湖的鲜
全城首发!低密豪宅专家绿城来了
更真实更放心!昆山论坛婚恋平台上线
关注昆山论坛抖音官方号ksbbs爆料有奖
昆山论坛招聘网,随时随地找工作
一秒极速下载昆山论坛APP,好玩
昆山分类信息重磅发布 闲置可以换钱
爆料有奖!关注昆山论坛抖音号,抖音搜索“昆山论坛”,或搜索抖音号:ksbbs
回复
举报
发帖
回复
返回列表
http://sy.ksbbs.com
访问内容超出本站范围,不能确定是否安全
继续访问
取消访问
快速回复
限76 字节
如果您提交过一次失败了,可以用”恢复数据”来恢复帖子内容
您目前还是游客,请
登录
或
注册
进入高级模式
文字颜色
发 布
回复后跳转到最后一页
上一个
下一个
隐藏
快速跳转
社会民生
聚焦昆山
立法直通车
昆山分类信息
昆山市教育局
昆山公交集团
昆山市交通运输局
消费维权
美丽昆山
昆山百事通
文明昆山
全民反诈
城市生活
玉山广场
昆友圈
走遍天下
昆山招聘
KBS车友会
昆山体育
房产装修
房产大家谈
房产租售
酸甜苦辣话装修
生活资讯
家有儿女
美食天地
花草宠物
交友婚恋
闲花文字
数码摄影
认证商家
论坛商家
昆山商情
社区站务
论坛事务
删帖声明
关闭
关闭
选中
1
篇
全选
喜欢就打赏个小红包吧
请选择打赏金额
1元
5元
10元
30元
100元
200元
您是游客,登陆后可以使用赏金钱包
赏金钱包支付
微信扫码支付
赏
我要提现
用微信扫描二维码完成支付
电话:0512-57993030
工作日 8:30-17:00在线
广告热线:18012662666
紧急联系:18888186330