夜间模式
  • 28709阅读
  • 13回复

[城建规划]城北大道(白塔路至康庄路)中间主路即将施工,请过往车辆、行人注意! [复制链接]

上一主题 下一主题
美女离线北城不夏
发帖
1202
昆币
27125 枚
只看楼主 使用道具 电梯直达
楼主  发表于: 2024-08-08 , 来自:江苏省0==





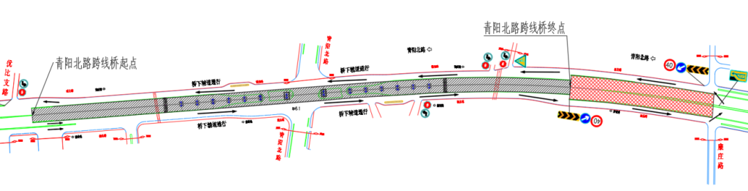
根据施工计划安排

8月9日起

青阳北路跨线桥封闭

两侧辅道放开通行!

城北大道(白塔路至康庄路)中间主路施工

请过往行人、车辆

提前进入辅道或周边道路绕行






工期时间

2024年8月9日—2024年8月31日



交通组织实施方案


城北大道(白塔路至康庄路)施工断面图


城北大道(白塔路至康庄路)导改平面图


城北大道(白塔路至康庄路)导改绕行图


请广大市民提前规划出行路线

施工期间给您带来的不便

敬请谅解


来源:昆山交工


本帖评分记录
helubo027 昆币 +1 -来自昆山论坛APP 2024-08-09
风之子2046 昆币 +1 -来自昆山论坛APP 2024-08-09
sxc123 昆币 +1 -来自昆山论坛APP 2024-08-09
秤坏了 昆币 +1 -来自昆山论坛APP 2024-08-09
不再缄默 昆币 +1 -来自昆山论坛APP 2024-08-09
高维豪 昆币 +1 -来自昆山论坛APP 2024-08-08
6条评分昆币+6
爆料有奖!关注昆山论坛抖音号,抖音搜索“昆山论坛”,或搜索抖音号:ksbbs
 
帅哥在线lamarodom
级别: 昆山名人

发帖
178874
昆币
433434 枚
沙发  发表于: 2024-08-08 , 来自:江苏省0==
加油干吧
爆料有奖!关注昆山论坛抖音号,抖音搜索“昆山论坛”,或搜索抖音号:ksbbs
 
离线kitten2021
级别: 禁止发言
发帖
28746
昆币
45449 枚
板凳  发表于: 2024-08-09 , 来自:江苏省0==
用户被禁言,该主题自动屏蔽!
爆料有奖!关注昆山论坛抖音号,抖音搜索“昆山论坛”,或搜索抖音号:ksbbs
 
离线雨后的猫
级别: 昆山过客
发帖
47
昆币
62 枚
地板  发表于: 2024-08-09 , 来自:江苏省0==
咨询一下城北大道西向东转黄浦江路通了没有啊?
楼中楼
  • 2024-08-09 08:45 短腿欧巴ll: 可以走,城北路转黄浦江路的辅道没通。通的是康庄路南向北,右转进黄浦江路的辅道。要从城北路康庄路口先小小右转再进去
  • 2024-08-09 10:37 御龙高手: 上周可以走辅路转到黄浦江路,前两天又把康庄路那边的口子堵起来了
爆料有奖!关注昆山论坛抖音号,抖音搜索“昆山论坛”,或搜索抖音号:ksbbs
 
发帖
2407
昆币
12167 枚
4楼 发表于: 2024-08-09 , 来自:江苏省0==
回 雨后的猫 的帖子
雨后的猫:咨询一下城北大道西向东转黄浦江路通了没有啊? (2024-08-09 08:22)

至少昨天还没有通
爆料有奖!关注昆山论坛抖音号,抖音搜索“昆山论坛”,或搜索抖音号:ksbbs
 
级别: 昆山新人
发帖
276
昆币
487 枚
5楼 发表于: 2024-08-09 , 来自:江苏省0==
回 雨后的猫 的帖子
雨后的猫:咨询一下城北大道西向东转黄浦江路通了没有啊? (2024-08-09 08:22)

8月9号早上8:10分经过,还没有通,有东西拦着。
爆料有奖!关注昆山论坛抖音号,抖音搜索“昆山论坛”,或搜索抖音号:ksbbs
 
离线Friday
级别: 昆山新人
发帖
236
昆币
3202 枚
6楼 发表于: 2024-08-09 , 来自:江苏省0==
不要怪美国人基建慢了,人家慢一是人懒不加班,二是钱不能随意花。我们城北大道现在这进度,估计是啥原因呢?
爆料有奖!关注昆山论坛抖音号,抖音搜索“昆山论坛”,或搜索抖音号:ksbbs
 
帅哥离线御龙高手

发帖
3154
昆币
5753 枚
7楼 发表于: 2024-08-09 , 来自:江苏省0==
这主路不是才通1年2个月又要维修什么,也不说原因
爆料有奖!关注昆山论坛抖音号,抖音搜索“昆山论坛”,或搜索抖音号:ksbbs
 
帅哥在线超级菠萝
级别: 昆山名人

发帖
153235
昆币
202790 枚
爆料
2
8楼 发表于: 2024-08-09 , 来自:江苏省0==
高架道路又封闭施工?
爆料有奖!关注昆山论坛抖音号,抖音搜索“昆山论坛”,或搜索抖音号:ksbbs
 
离线kitten2021
级别: 禁止发言
发帖
28746
昆币
45449 枚
9楼 发表于: 2024-08-12 , 来自:江苏省0==
用户被禁言,该主题自动屏蔽!
爆料有奖!关注昆山论坛抖音号,抖音搜索“昆山论坛”,或搜索抖音号:ksbbs
 
快速回复
限76 字节
如果您提交过一次失败了,可以用”恢复数据”来恢复帖子内容
 
上一个 下一个