夜间模式
  • 16007阅读
  • 4回复

[昆山要闻]即日起!昆山又一主干道封闭,请过往车辆注意绕行 [复制链接]

上一主题 下一主题
离线直戳痛处
发帖
2670
昆币
94163 枚
只看楼主 使用道具 电梯直达
楼主  发表于: 2024-08-12 , 来自:江苏省0==

注意!注意!

又一主干道封闭

影响大批人通勤、出行



即日起,封闭!昆山紧急通知

图片

根据施工计划安排

即日起

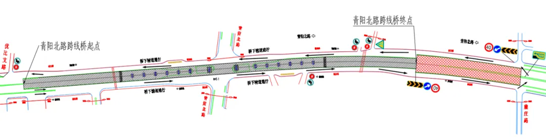
青阳北路跨线桥封闭

两侧辅道放开通行!

城北大道(白塔路至康庄路)中间主路施工

请过往行人、车辆

提前进入辅道或周边道路绕行



工期时间


即日起—2024年8月31日



交通组织实施方案



图片

城北大道(白塔路至康庄路)施工断面图


图片

城北大道(白塔路至康庄路)导改平面图


图片

城北大道(白塔路至康庄路)导改绕行图


由于封闭施工

可通行道路变窄

封闭道路周边

又有多个公司、企业

上班、出行高峰期势必会

出现拥堵现象


图片


在此提醒大家

提前出门,错峰出行

避开高峰期!

路上注意安全!

图片


此外,涉及交通工程

近日

昆山官方公示了一批新建工程

快看看有没有你家附近



正基路南延新建工程

图片

中国昆山上发布

淀山湖镇正基路南延新建工程

建设项目用地预审与选址意见批前公示


图片

拟建设项目名称:淀山湖镇正基路南延新建工程

项目内容:新建道路长度约1100米,宽度34米,包括

雨污水、绿化、路灯、交通标识标牌等配套工程。

建设单位名称:昆山薛淀尚美建设发展有限公司

拟选址位置:北起淀辉路,南至东洋村

用地面积:35287.61平方米

图片



淀湖路西延新建工程

图片

中国昆山发布

淀山湖镇淀湖路西延新建工程

建设项目用地预审与选址意见批前公示


图片

拟建设项目名称:淀山湖镇淀湖路西延新建工程

项目内容:新建道路长度约770米,宽度34米,新建桥梁一座,包括雨污水、绿化、路灯、交通标识标牌等配套工程。

建设单位名称:昆山薛淀尚美建设发展有限公司

拟选址位置:西起黄浦江路,东至现状淀湖路

用地面积:29326.48平方米

图片



新开泾路新建工程

图片

中国昆山上发布

淀山湖镇新开泾路新建工程

建设项目用地预审与选址意见批前公示


图片

拟建设项目名称:淀山湖镇新开泾路新建工程

项目内容:新建道路长度约841米,宽约7至11米,同时建设路灯、标识标线、排水等相关配套附属工程。

建设单位名称:昆山薛淀尚美建设发展有限公司

拟选址位置:南起环湖大道,北至清远桥

用地面积:7112.62平方米

图片



鳌峰路改造工程

图片

苏州公共资源交易平台发布

千灯镇鳌峰路改造工程设计

中标人公告


图片

中标人名称:江苏伴城伴乡规划设计有限公司

中标价(万元):46.7800

中标工期:30天

工程规模:本项目由炎武南路与鳌峰路之间连接通道与鳌峰路两部分组成,其中:连接通道长527.253m,红线宽度50m;鳌峰路全长2544.778m,红线宽度7.6~11m


相信会有更多的道路工程
传来好消息
昆山的路在建设中
会越来越宽,越来越平坦
幸福之路通向未来


图片



爆料有奖!关注昆山论坛抖音号,抖音搜索“昆山论坛”,或搜索抖音号:ksbbs
 
离线wyw711
发帖
1589
昆币
2536 枚
沙发  发表于: 2024-08-12 , 来自:江苏省0==
所以今早青阳路两条左转堵疯了,又是不提前公告的,长江路也只剩一条左转,还有哪里可以走
爆料有奖!关注昆山论坛抖音号,抖音搜索“昆山论坛”,或搜索抖音号:ksbbs
 
帅哥离线飞翔的小鱼er
发帖
1835
昆币
2582 枚
板凳  发表于: 2024-08-12 , 来自:江苏省0==
工期到月底啊,抓紧吧。。。
爆料有奖!关注昆山论坛抖音号,抖音搜索“昆山论坛”,或搜索抖音号:ksbbs
 
帅哥离线御龙高手

发帖
3149
昆币
5745 枚
地板  发表于: 2024-08-12 , 来自:江苏省0==
回 wyw711 的帖子
wyw711:所以今早青阳路两条左转堵疯了,又是不提前公告的,长江路也只剩一条左转,还有哪里可以走 (2024-08-12 10:26)

这个修路的上周就发了的
爆料有奖!关注昆山论坛抖音号,抖音搜索“昆山论坛”,或搜索抖音号:ksbbs
 
帅哥在线123abc交通
级别: 昆山名人
发帖
69248
昆币
106738 枚
4楼 发表于: 2024-08-12 , 来自:江苏省0==
路过看看
爆料有奖!关注昆山论坛抖音号,抖音搜索“昆山论坛”,或搜索抖音号:ksbbs
 
快速回复
限76 字节
如果您在写长篇帖子又不马上发表,建议存为草稿
 
上一个 下一个