夜间模式
  • 18516阅读
  • 4回复

[百姓话题]确定西延!昆山这条路刚曝出 [复制链接]

上一主题 下一主题
美女离线你听我说
发帖
3746
昆币
129482 枚
只看楼主 使用道具 电梯直达
楼主  发表于: 05-09 , 来自:江苏省0==

重磅!

长三角交通一体化再添新动脉

备受瞩目的西延项目

已正式启动建设

通车时间曝出!



昆山⇌太仓,新通道!

图片

近日

苏州交通运输局官方宣布

广州西路西延项目

即X203浏双公路(吴塘河-昆山界)

新建工程

已正式启动建设

计划2026年10月竣工,12月通车

👏👏👏


#建设情况


目前,广州西路的最西端止于双凤镇的川西路口。从路口向西道路的延伸段上,已经被围挡围了起来。


工地南侧,已经修筑了一条可供两辆载重卡车会车的混凝土施工便道,便道从东向西贯穿整个施工区域。工地西段的作业区里,载重卡车、挖掘机、推土机、压路机配合作业,正在铺设路基,为减少扬尘,雾炮车在工地穿梭作业。




据悉

X203浏双公路(吴塘河-昆山界)

新建工程全长约2700米

东起川西路口,沿腾泾河南岸布设

其间穿过多条河道和村庄

最后通过石家港河进入昆山

昆山将建设约800米长的道路

并将道路连接到迎宾路


该新建道路为一级公路标准,双向四车道,断面宽28米,全线设计速度为80千米/小时。项目主要建设内容包含道路工程、桥涵工程、照明工程和交安设施工程等。目前正在进行的是路基填筑施工、路基分层摊铺。



#项目意义


X203浏双公路是《太仓市公路水路网规划修编(2010-2030)》中规划的市域内“七纵八横九连接”的骨架公路网中的“八横”之一,它贯穿太仓东西,沟通了主城与港城。


X203浏双公路(吴塘河-昆山界)新建工程是太仓与昆山主要公路接口之一,项目的实施是昆太协同发展合作中交通运输一体化的重要一环



项目建成后

将彻底打通困扰两地多年的“断头路”瓶颈

串联起沿线产业园区

推动两地经济协同发展

还将极大地惠及民生

提升沿线居民生活便利性!


昆山对外交通建设“火力全开”

对内也是“高歌猛进”!


昆山这条断头路要通了!

图片

昆山人民政府网上发布

昆山融锦路西延道路新建工程

选址公示


image.png

拟建设项目名称:昆山高新区融锦路西延道路新建工程

项目内容:新建道路全长约340m,宽约24m,按照城市支路标准设计,工程主要内容包括道路工程、交通工程、管线工程等配套附属工程。

建设单位名称:昆山市玉山镇建设管理所

拟选址位置:项目位于昆北路东侧融江路北侧

用地面积:7283.19平方米



此前官方也发布了

相关地块的征收公告



住城北融城汇园
孩子在紫竹幼儿园、紫竹小学上学的小伙伴
一定看出来了
融锦路马上打通断头路
与昆北路连通了!

未来,城北交通路网
将多一条脉络
出行将更加通达!



最新公示!昆山这道路将西延

图片

昆山官方发布

锦荣路西延新建工程(一期)

建设项目用地预审

与选址意见批前公示


image.png

image.png

拟建设项目名称:锦荣路西延新建工程(一期)

项目内容:项目一期全长约1.5km,宽30m,双向四车道布置。

建设单位名称:昆山市锦溪锦澄市政工程有限公司

拟选址位置:昆山锦溪镇,西起环湖路与锦富路交叉口,东至南北中心河。

用地面积:44436.62平方米



日前

官方也发布过锦荣路

相关街区的规划草案

其中规划范围就涉及此次道路西延的一部分


《昆山市JX0201、JX0202街区详细规划》草案


规划草案中

明确提出规划形成

“一心一轴、一链四组团”的空间结构


一心:科创服务中心

一轴:创新服务轴

一链:生态休闲链

四组团:服务组团、研发创新组团以及两个产业智造组团



城市更新、道路先行

相信此次道路建设

也是在为未来片区的建设“铺路”

拭目以待更多的规划落地!


昆山多条道路新建!

图片


PART.01

昆山高新区青秀路(规划鹿城路-寰庆路)

道路新建工程选址公示


image.png

拟建设项目名称:昆山高新区青秀路(规划鹿城路-寰庆路)道路新建工程

项目内容:新建道路全长约270m,宽约24m。工程内容包括道路工程、交通工程、排水工程、综合管线、照明工程、绿化景观等配套附属工程。

建设单位名称:昆山市玉山镇建设管理所

拟选址位置:西起规划鹿城路,东至寰庆路

用地面积:7438.72平方米




PART.02

昆山高新区长江路西侧

江洲路北侧人行道

新建工程选址公示


image.png

拟建设项目名称:昆山高新区长江路西侧江洲路北侧人行道新建工程

项目内容:新建道路全长约291米,宽约4-6米,主要改造内容包括道路工程及配套附属工程。

建设单位名称:昆山市玉山镇建设管理所

拟选址位置:昆山高新区长江路西侧江州路北侧

用地面积:1120.44平方米




PART.03

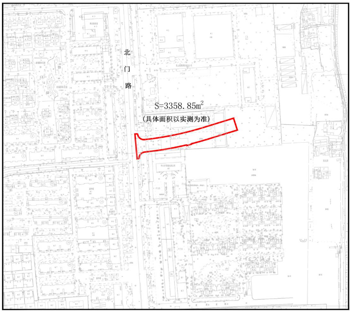
昆山高新区杜桥路

(北门路-方正名门花园北门)

新建工程选址公示


image.png

拟建设项目名称:昆山高新区杜桥路(北门路-方正名门花园北门)新建工程

项目内容:新建道路全长168m,宽约20m,主要改造内容包括道路工程、交通工程、管线工程、照明工程等配套附属工程。

建设单位名称:昆山市玉山镇建设管理所

拟选址位置:西起北门路,东至方正名门花园北门

用地面积:3358.85平方米



完善区域路网

助力产业协同与城市更新

加速长三角交通一体化进程

昆山交通建设再提速!


扩散到圈子里

让更多人知道!


来源:昆山市人民政府、苏州交通运输等

昆山论坛综合整理


本帖评分记录
车前子 昆币 +1 -来自昆山论坛APP 05-11
离沫倾城6 昆币 +1 -来自昆山论坛APP 05-10
金箭小鲍 昆币 +1 -来自昆山论坛APP 05-10
37℃的嘴 昆币 +1 -来自昆山论坛APP 05-10
高维豪 昆币 +1 -来自昆山论坛APP 05-09
wujun101 昆币 +1 -来自昆山论坛APP 05-09
王水发 昆币 +1 -来自昆山论坛APP 05-09
7条评分昆币+7
爆料有奖!关注昆山论坛抖音号,抖音搜索“昆山论坛”,或搜索抖音号:ksbbs
 
美女离线企退居民
级别: 昆山名人
发帖
32894
昆币
64568 枚
沙发  发表于: 05-09 , 来自:江苏省0==
交通建设发展,看到了昆太多个紧相连的联动。苏州外婆家,昆山太仓相邻的外嫁姐妹家
爆料有奖!关注昆山论坛抖音号,抖音搜索“昆山论坛”,或搜索抖音号:ksbbs
 
发帖
1703
昆币
2146 枚
板凳  发表于: 05-09 , 来自:江苏省0==
请问环庆路(中环-外环)这一段什么时候改造?说了都快十年了,到现在具体方案还没确定吗?
爆料有奖!关注昆山论坛抖音号,抖音搜索“昆山论坛”,或搜索抖音号:ksbbs
 
在线青翼蝠王
发帖
15157
昆币
22020 枚
地板  发表于: 05-09 , 来自:江苏省0==
打通断头路
本帖评分记录
离沫倾城6 昆币 +1 -来自昆山论坛APP 05-10
1条评分昆币+1
爆料有奖!关注昆山论坛抖音号,抖音搜索“昆山论坛”,或搜索抖音号:ksbbs
 
帅哥离线城南小霸王
级别: 昆山名人
发帖
33702
昆币
42514 枚
4楼 发表于: 05-11 , 来自:江苏省0==
阔以的,不然要绕路
爆料有奖!关注昆山论坛抖音号,抖音搜索“昆山论坛”,或搜索抖音号:ksbbs
 
快速回复
限76 字节
批量上传需要先选择文件,再选择上传
 
上一个 下一个